売土地
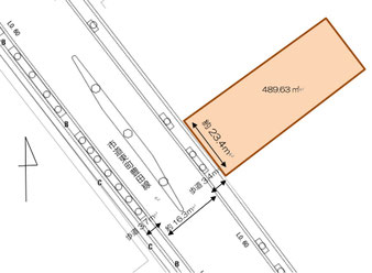
1.NEW! 静岡市駿河区豊田1丁目
【土地面積】489.63㎡(148.11坪)
※建築条件無し
詳しくはお問い合わせ願います。
2.NEW! 藤枝市駅前3丁目 価格3,000万円
【土地面積】155.25㎡(46.96坪)
※建築条件無し
解体更地渡し
3.清水区万世町2丁目 価格1,680万円
【土地面積】138.12㎡(41.78坪)
※建築条件無し
現況更地。
4.清水区三保松原町 価格1,104万円~1,485万円
全13区画中、残り4区画あり
全区画 13万円/坪
※建築条件なし
詳しくはお問い合わせください。
5.清水区折戸 価格725万円
全8区画中、残り1区画
184.54㎡(55.82坪)
※建築条件なし
詳しくはお問い合わせください。
有限会社 エス・ケー不動産本舗


































